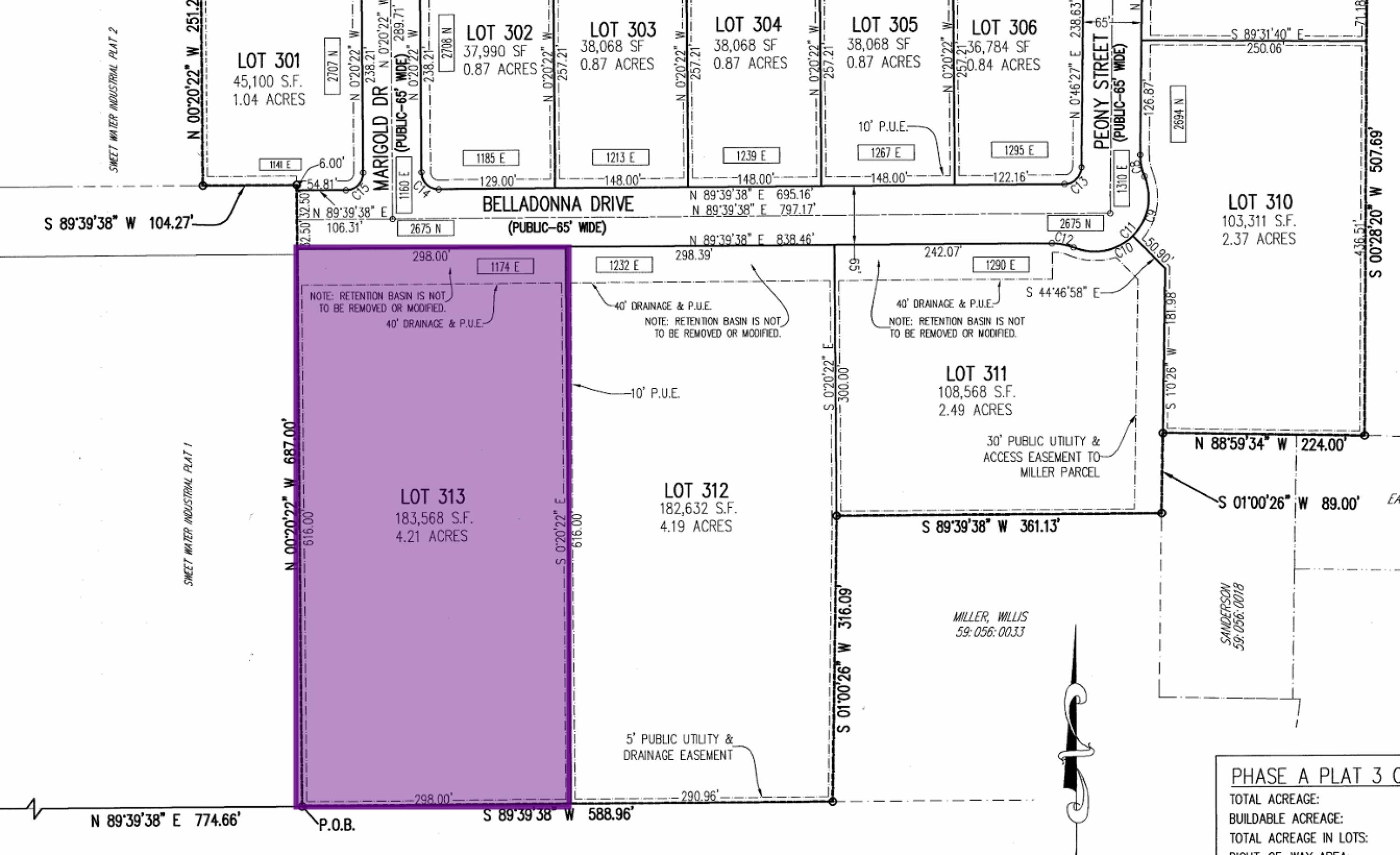
1174 E Belladonna DR 4.2118 Acres Lot 313 #0313 1174 East Belladonna Drive, Eagle Mountain, UT 84005
Vacant Land
Property Description
Excellent 4.21-acre industrial lot in the Sweetwater Industrial Area of Eagle Mountain. Flat, build-ready site with power, sewer, water, and gas stubbed to the property line. Located on Belladonna Drive, this parcel offers curb, gutter, sidewalks, and easy truck access within a fast-growing industrial corridor. Ideal for warehousing, flex space, or contractor operations, this lot is surrounded by new commercial, active development and infrastructure expansion such as Meta and Google, this lot offers exceptional value and long-term potential.Zoned Industrial, it offers flexibility for a wide range of uses with strong visibility and long-term investment potential
Full Address: 1174 East Belladonna Drive, Eagle Mountain, UT 84005
Listing Type: FOR SALE
Status: Active
Zoning: 71-025-0313
Region: W-WM
Property ID: 4102232
Parcel Num: 710250313
