Lot 2R Cimarron Dr - Highway Service Designation Box Elder, SD 57719
Vacant Land - Commercial
Vacant Land - Retail
Property Description
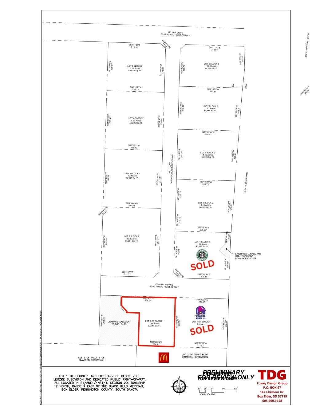
Prime Commercial Lot for Sale in Box Elder’s Fastest-Growing Corridor. If you’re searching for a high-traffic, high-visibility commercial lot in a rapidly developing community, look no further. Lot 2R is a .89-acre interior lot directly West of the Taco Bell lot and is ideally positioned just north of Interstate 90 and dynamic neighbors, including McDonald's, Starbucks, and Taco Bell (2026 construction start). Located in the Leitzke Subdivision—the newest commercial development in Box Elder, SD—this property sits along the west side of Liberty Boulevard, a key connector road with established infrastructure. Paved roads, curb and gutter, and all utilities are in place and stubbed to the lot line. The lot is fully surveyed and platted, ready for immediate development. Zoned "Highway Service," this property allows for a wide range of commercial uses (see Appendix A in associated documents), making it an excellent site for restaurants, retail, service businesses, or professional offices.
Listed by Randy Olivier, CCIM RE/MAX Advantage Commercial, 605-430-6246.
Area Description
Why Box Elder? Strategic Location: Just minutes east of Rapid City, between the Black Hills and the Badlands, with easy access to I-90.
Explosive Growth: One of the fastest-growing cities in South Dakota, with the population more than tripling since 2000. Economic Drivers:
Home to Ellsworth Air Force Base, a major economic anchor with future growth fueled by the B-21 Raider mission. Community Appeal:
Affordable housing, quality schools, and a mix of military and civilian residents create a diverse, family-friendly environment. Recreation &
Lifestyle: Endless outdoor adventure opportunities, small-town charm, and access to the region’s top attractions.
Full Address: Box Elder, SD 57719
Listing Type: FOR SALE
Status: Active
Zoning: Highway Service
Region: M-WN
County: Pennington County
Property ID: 4092593
Has Sewer: Yes
Has Water: Yes
Has Electric: Yes
Has Gas: Yes
