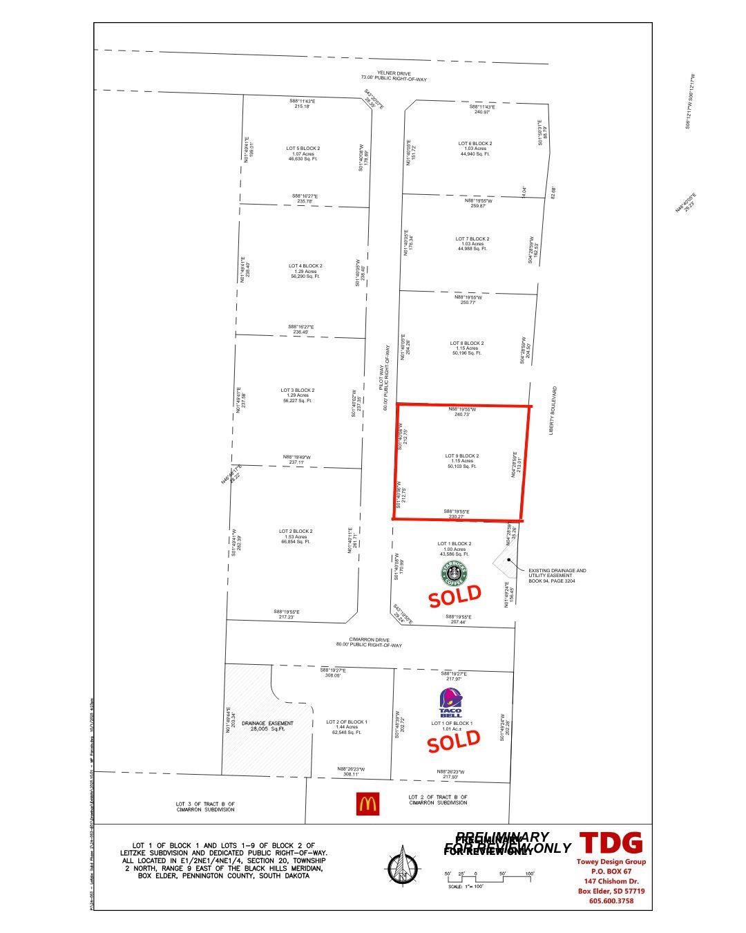
Highway Service - Lot 9 Pilot Way, Box Elder SD Pilot Way, Box Elder, SD 57719
Vacant Land - Commercial
Vacant Land - Retail
Property Description
Prime Commercial Lot in Box Elder. High-Traffic, High-Visibility Location! Position your business for success on Lot 9, a 1.15-acre interior commercial lot ideally situated just north of Interstate 90, with major national brands nearby, including McDonald's, Starbucks, and Taco Bell (coming in 2026). This property offers exceptional visibility and steady customer traffic. Located in the new Leitzke Subdivision, Box Elder's fastest-growing commercial area, the lot sits along the west side of Liberty Boulevard. Road and utilities will be included in the price. The Highway Service zoning allows for a wide range of commercial uses, making it the perfect opportunity for your next development or investment. Each lot shall include: Curb and gutter with paved road access. Utilities stubbed to the lot line. Surveyed and platted parcel, ready for construction. Don't miss your chance to join this rapidly developing commercial corridor!
Why Box Elder? Strategic location. Just minutes east of Rapid City, between the Black Hills and the Badlands, with easy access to I-90. Explosive growth. One of the fastest-growing cities in South Dakota, with the population more than tripling since 2000. Economic Drivers: Home to Ellsworth Air Force Base, a major economic anchor with future growth fueled by the B-21 Raider mission. Community Appeal: Affordable housing, quality schools, and a mix of military and civilian residents create a diverse, family-friendly environment. Recreation & Lifestyle: Endless outdoor adventure opportunities, small-town charm, and access ot the region's top attractions.
Listed by: Randy Olivier, RE/MAX Advantage 605-430-6246
Full Address: Pilot Way, Box Elder, SD 57719
Listing Type: FOR SALE
Status: Active
Zoning: Highway Service
Region: M-WN
County: Pennington County
Property ID: 4093008
Has Sewer: Yes
Has Water: Yes
Has Electric: Yes
Has Gas: Yes
